Działka na sprzedaż Pomiechówek, Kikoły

1446.00 m²
130,71 zł/m2
NHL-GS-377
Oblicz ratę kredytu

189 000 zł

Działka na sprzedaż
Bez prowizji

Szczegóły oferty

Symbol oferty NHL-GS-377
Powierzchnia 1 446,00 m²
Przeznaczenie działki budowlana
Standard
Zagosp. działki niezagospodarowana
Ukształtowanie działki płaska
Kształt działki prostokąt
Gaz w granicy
Woda jest
Prąd w ulicy

Opis nieruchomości

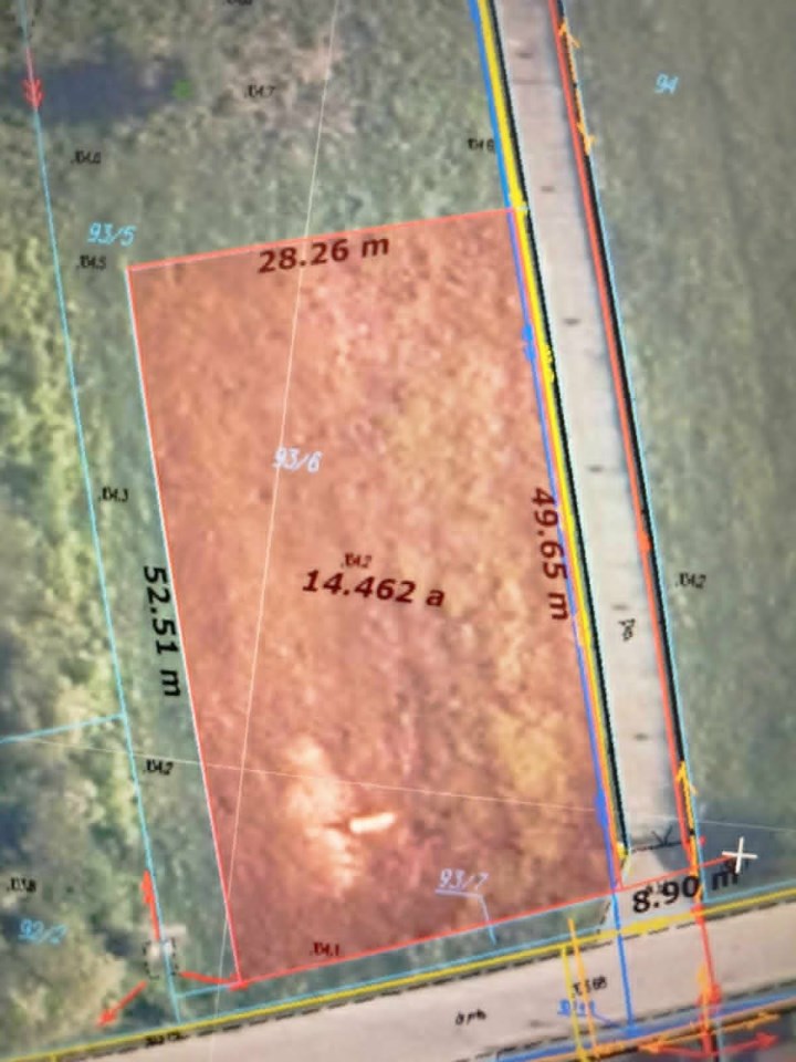
Na sprzedaż działka budowlana 1446 m² – Kikoły, gm. Pomiechówek (MPZP, media w granicy)

Na sprzedaż atrakcyjna działka budowlana nr ewid. 93/6 położona w miejscowości Kikoły, gmina Pomiechówek, o powierzchni 1446 m². Nieruchomość znajduje się w spokojnej, zielonej okolicy, idealnej pod budowę domu jednorodzinnego.

Najważniejsze atuty nieruchomości:

Powierzchnia: 1446 m²
Numer ewidencyjny: 93/6
Media w granicy działki – szybkie i wygodne podłączenie
Wydany MPZP – dla zabudowy jednorodzinnej z dopuszczeniem usług nie uciążliwych
Spokojne sąsiedztwo i przyjemne otoczenie natury

Lokalizacja:

Działka położona w miejscowości Kikoły (gm. Pomiechówek) – w otoczeniu terenów zielonych, z dogodnym dojazdem do pobliskich miejscowości. 3km od działki znajduje się stacja PKP Pomiechówek, skąd odjeżdżają pociągi Kolei Mazowieckich w kierunku Legionowa i Warszawy. Ok 300m do rzeki Narew. Lokalizacja zapewnia ciszę, prywatność oraz komfort codziennego życia poza miejskim zgiełkiem.

 

Kalkulatory

Kalkulator kredytowy

Wysokość raty

PLN
%

Kalkulator kosztów

Podatek od czynności cywilno-prawnych

Taksa notarialna
(opłata notarialna)

Wniosek o wpis do KW

VAT od prowizji
agencji nieruchomości

VAT od taksy notarialnej
(opłaty notarialnej)

Prowizja agencji nieruchomości

Wypisy aktu notarialnego

Razem

Uwaga: mogą wystąpić dodatkowe opłaty za założenie księgi wieczystej oraz ustanowienie hipoteki.

PLN
PLN
PLN
PLN
PLN
PLN
%
PLN

Proszę wprowadzić poprawne imię i nazwisko
Proszę wprowadzić poprawny numer telefonu
Proszę wprowadzić poprawny adres e-mail
Proszę zaznaczyć wymagane zgody
Rozwiąż równanie:
19 1
Niepoprawny wynik